Pies nie staje na łapie – kiedy jechać do weterynarza?
Pies nie staje na łapie? To może być objaw urazu, bólu stawu, zwichnięcia lub złamania Każdy…

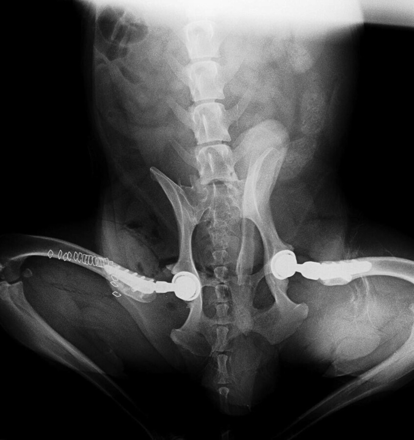
Endoprotezoplastyka w leczeniu chorób stawów
to zaawansowana procedura ortopedyczna polegająca na zastąpieniu uszkodzonego stawu specjalistycznym implantem. Zabieg wykonywany jest u psów z ciężkimi chorobami stawów, które powodują przewlekły ból oraz znaczne ograniczenie ruchomości.
Celem operacji jest odtworzenie prawidłowej biomechaniki stawu, zniesienie bólu oraz przywrócenie zwierzęciu komfortu ruchu. W wielu przypadkach endoprotezoplastyka pozwala psom wrócić do normalnej aktywności, nawet przy zaawansowanych zmianach zwyrodnieniowych.
Najczęściej wykonywaną procedurą w ortopedii weterynaryjnej jest całkowita wymiana stawu biodrowego, jednak implanty mogą być stosowane również w innych stawach.
Wymiana stawu biodrowego
To najczęstsze zastosowanie endoprotez w weterynarii. Zabieg polega na zastąpieniu głowy kości udowej oraz panewki stawu biodrowego implantem. Procedura wykonywana jest przede wszystkim u psów z ciężką dysplazją stawu biodrowego lub zaawansowanymi zmianami zwyrodnieniowymi.
Endoprotezy stawu kolanowego
W niektórych przypadkach stosuje się także implanty stawu kolanowego, szczególnie przy poważnych uszkodzeniach stawu, rozległych zmianach zwyrodnieniowych lub powikłaniach pourazowych.
Endoprotezy stawu łokciowego
Implanty mogą być stosowane również w leczeniu zaawansowanych chorób stawu łokciowego, np. przy ciężkich zmianach zwyrodnieniowych wynikających z dysplazji stawu łokciowego.
Wymiana stawu rozważana jest w sytuacjach, gdy inne metody leczenia nie pozwalają na przywrócenie prawidłowej funkcji kończyny.
Najczęstsze wskazania obejmują:
Podczas operacji chirurg usuwa uszkodzone elementy stawu, a następnie wprowadza implant ortopedyczny, który odtwarza jego funkcję. Proteza składa się zwykle z kilku elementów wykonanych z materiałów biokompatybilnych, takich jak tytan czy specjalne tworzywa medyczne.
Implant pozwala na odtworzenie prawidłowego ruchu w stawie oraz stabilizację jego struktur.
Endoprotezoplastyka wymaga bardzo dokładnego przygotowania przedoperacyjnego. Obejmuje ono szczegółową diagnostykę oraz analizę budowy stawu.
Najczęściej wykonywane badania to:
Badania te pozwalają dobrać odpowiedni typ oraz rozmiar implantu.
Po operacji bardzo ważnym elementem leczenia jest rehabilitacja ortopedyczna, która wspiera odbudowę siły mięśniowej oraz prawidłowej funkcji stawu.
Proces rekonwalescencji obejmuje:
Pies nie staje na łapie? To może być objaw urazu, bólu stawu, zwichnięcia lub złamania Każdy…
Jeszcze kilkanaście lat temu sezon na kleszcze był wyraźnie ograniczony do wiosny i jesieni. Dziś, z…
Gdy u domowego pupila pojawia się podwyższona temperatura ciała, wielu opiekunów odczuwa uzasadniony, narastający niepokój. Bardzo…